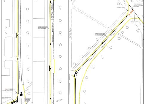
Update 7th June 2025: the police don’t know whether there was a collision or not, and the incident may not have been correctly reported in the local press. A cyclist was seriously injured in a collision on Beech Grove, Harrogate,
Cyclist Seriously Injured in Collision on Beech Grove







